Cheap Property for Sale
2,786 properties below €20,000 in 77 countries
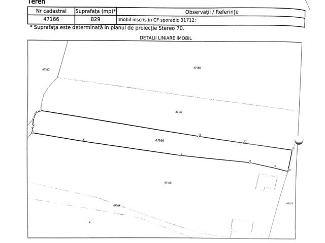
 Back to Property Details  Back to Property Details

Land for building - Photo Gallery