Cheap Property for Sale
2,783 properties
below €20,000 in
77 countries
Back to Search Results
Back to Search Results
Land for building
> Houses in South Africa · for sale & rent · up to €20,000
5 photos
€ 12,000
£10,395.00
$14,042.40
Explore surroundings in Google maps
Loading...
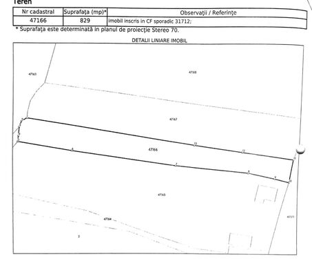
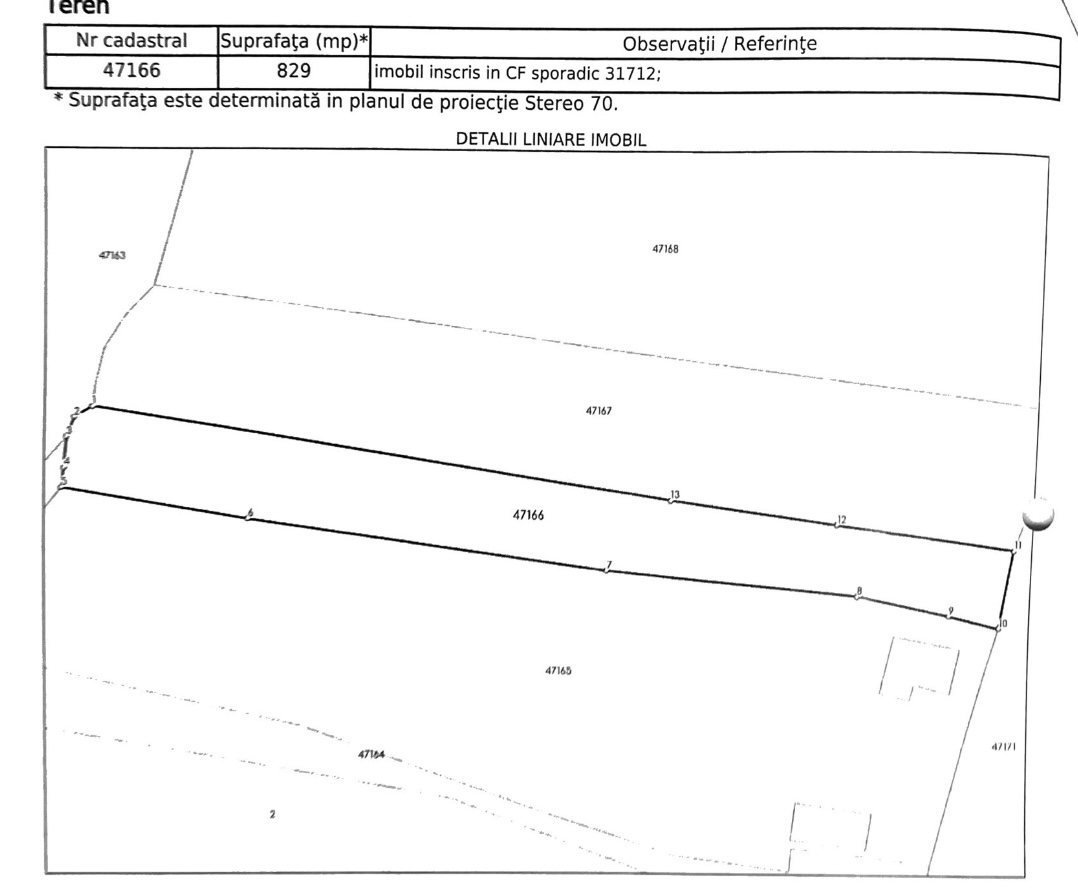
Land for building
829 square meters fantastic to build a house
Farm
Property ID: 71330
For:
Sale
Habitable:
Yes
Condition:
Not in use
Size of land:
829 m²
Energy Rating:
Unknown
Presently:
Empty
Romania
Tulcea
Address:
Topolog Romania
Topolog
Close to:
School, Hospital, Bus stop, Shopping area, Park, Touristic area, Forest, River.
Setting:
Countryside.
Contact me about this property for sale
Private Seller
There are some errors in the form.
First Name
Please enter your first name.
Last Name
Please enter your last name.
Phone Number
Email Address
Please enter your email address.
Query
I agree to save and process the entered data as explained in your
Privacy Policy
.
Please confirm that you allow us to save and process the entered data.
Please solve the captcha.